Images by Area
Arctic-Yukon-Kuskokwim Edge Codes
Last modified on Feb 25, 2021
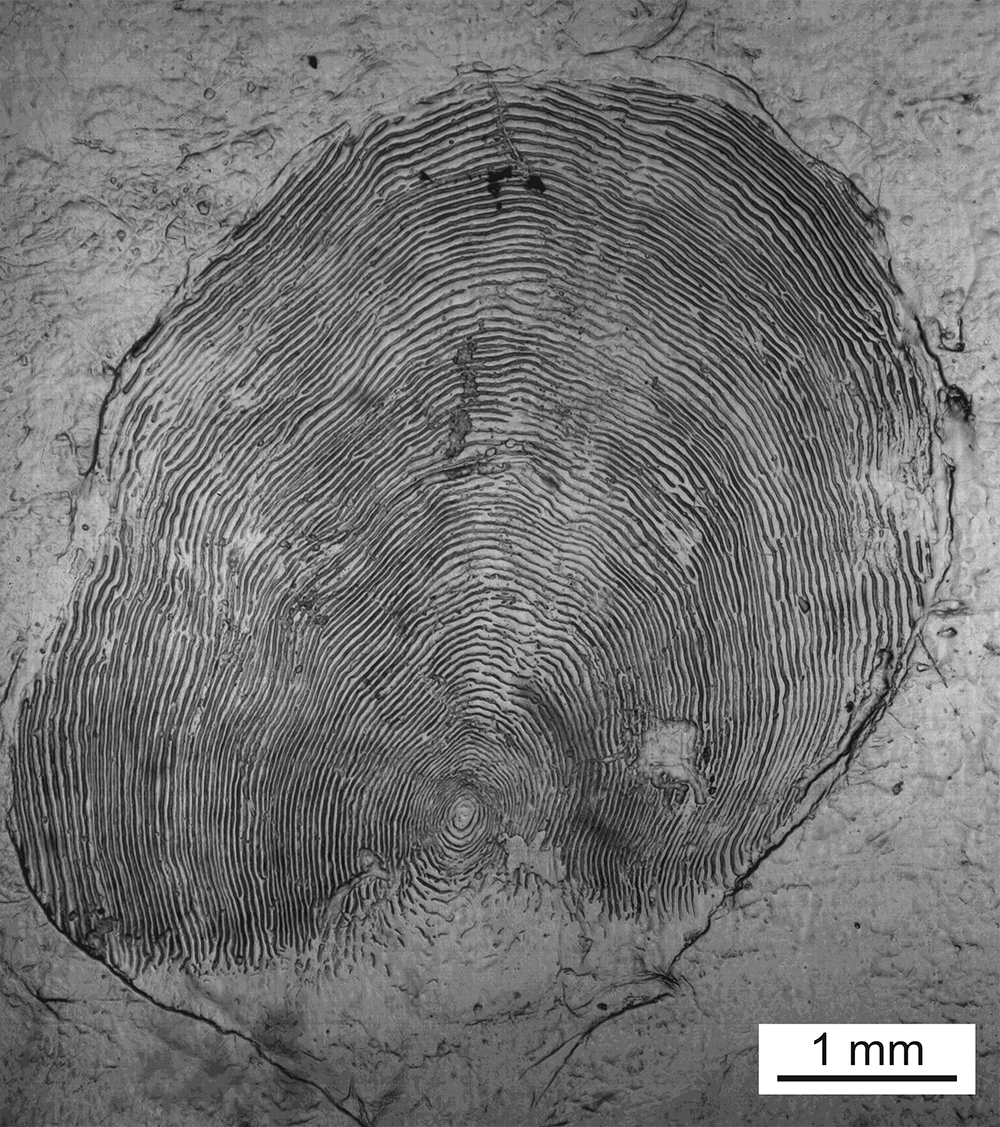
Edge growth codes are recorded in the Arctic-Yukon-Kuskokwim Region to track and facilitate aging of resorbed scales and are not included in AYKDBMS. Resorption is common from mature salmon in the region and found in scales collected from upriver locations and those on or near the spawning grounds. An edge growth code is used for scales that have moderate resorption and an additional saltwater annulus was added.
Resorption rates:
- Minimal — edge growth code not recorded and at least part of the last annulus is visible.
- Moderate — edge growth code is assigned and no part of the last annulus is visible. Only one annulus is interpreted as resorbed.
- Extensive — edge growth code not recorded and reader unable to assess number of missing annuli 0, 1, or more; saltwater age not estimated and error code 6 (resorbed) is assigned.
The edge growth code is estimated by measuring the width of the last incomplete annual growth zone, on the scale margin, relative to the previous complete annual growth zone. All scales are examined, and the measurement is made from the widest portion of the last annual zone. Measurements are rough approximations of the relative widths and are quickly made by eye. The reader may use distance between two fingers as a guide. Usually the rate of resorption is not consistent among scales or around the scale circumference. The edge growth code is a relative measurement of saltwater plus growth following the last visible annulus. Edge growth codes range from 2 through 8 from less to more saltwater plus growth. Evaluating whether an annulus was resorbed requires knowledge of expected saltwater plus growth, preferably acquired by aging non-resorbed scales within the same drainage. Most Chinook salmon, with non-resorbed scales, returning to the region have little, if any, saltwater plus growth.
Table 1. — Edge growth codes used for resorbed scales.
| Code | Growth measurement compared to previous year |
|---|---|
| 2 | less than ¼ |
| 3 | about ¼ |
| 4 | almost ½ |
| 5 | about ½ |
| 6 | more than ½ |
| 7 | almost same |
| 8 | equal to or greater |
On this page:


























































